Lieber Quarter Horse Wallach in gute Hände abzugeben
|
|
Anzeige inaktiv / Pferd verkauft!Diese Anzeige ist leider nicht mehr aktiv und nur aus Archivierungsgründen sichtbar. Es können daher keine weiteren Anfragen zu diesem Pferd versendet werden. |
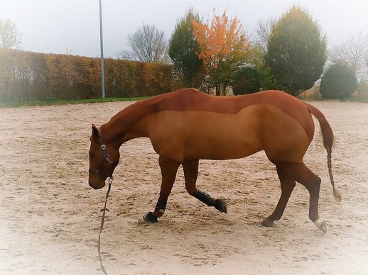
Whizper sucht auf diesem Wege ein tolles Zuhause bei verantwortungsbewussten Menschen. Er ist ein 2018 geborener QH Wallach mit einem Stockmaß von ca. 155 cm. Der Wallach besitzt einen ganz lieben Charakter, ist unerschrocken und sehr brav, ab und an auch ein wenig verspielt, eine Seele von Pferd. Er besitzt eine solide Grundausbildung, geht sehr gerne ins Gelände, alleine und in der Gruppe. Bodenarbeit und Longenarbeit kennt er, sowie Spaziergänge an der Hand. Whizper wird nur in eine Haltung abgegeben, wo er täglich raus kann bzw. gerne auch in Offenstallhaltung. Aufgrund eines Handicaps soll er nicht in den Sport. Daher wird er nur an jemanden abgegeben, bei dem reiten nicht an erster Stelle steht. Näheres gerne auf Anfrage.
Geben Sie eine PLZ ein um Tierärzte in der Umgebung zu finden (aktuell nur Deutschland):
|
Pferdeklinik Burg Müggenhausen
|
Dr. Thomas Weinberger, Dr. Coco Gather
|
|
|
Tiergesundheitszentrum Aggertal
|
Dr. J. Gawda
|
|
|
Pferdeklinik Leichlingen
|
Dres. Krebs, Nolting, von Plato
|
|
|
Tierärztliche Praxis für Pferde Ratingen
|
Dr. Thomas Sander & Dr. Martin Gundel
|
|
|
Pferdepraxis Dr. Hassenbürger
|
Dr. Heinrich-Georg Hassenbürger
|
|
Diese Daten werden bereitgestellt von Hippocheck.com
Abstammung
Hollywood Cutters |
Be Aech Enterprise |
Squaw Leo |
Enterprise Lady |
||
Cutters Gold Betsy |
Cutter Bill |
|
Hollywood Betsy |
||
Whiz Lena Chex |
Topsail Whiz |
Topsail Cody |
Jeanie Whiz Bar |
||
Real Pokey Lena Chex |
Smart Little Lena |
|
Miss Red Chex |
Weitere Pferde dieses Anbieters
Alle Pferde dieses Anbieters...
$ 8.100 (VHB)
$ 5.700 (VHB)
$ 12.900 (VHB)
$ 7.700 (VHB)
$ 7.700 (VHB)
Steckbrief
Name: |
Hollywood Whizpers |
Rasse: |
Quarter Horse
|
Kategorie: |
Western |
Geschlecht: |
Wallach |
Farbe: |
Fuchs |
Stockmaß: |
15.1 hh (Zurzeit) |
Alter: |
8 Jahre (*2018) |
Preis: |
$ 5.900 |
Ausbildungsstand | |
Dressur: |
keine Angabe |
Springen: |
keine Angabe |
Vielseitigkeit: |
keine Angabe |
Reitweisen: |
|
Eignungen: |
keine Angabe |
Verschiedenes | |
Erfolge: |
keine Angabe |
AKU vorhanden: |
Nein |
Röntgenklasse: |
keine Angabe |
Standort
Deutschland, 53111 Bonn
Nordrhein-Westfalen
Auf Karte zeigen (mit Klick erklären Sie sich einverstanden, dass Daten an Google Inc. übertragen werden)
